-

انتعاش سوق الإعلانات الرقمية يبدّد مخاوف التباطؤ.. ميتا وألفابت وأمازون تتصدر المشهد
-

عاجل | 14 ثقافة مختلفة.. “الإعلام” تطلق مبادرة “انسجام عالمي 2” غدًا
-

هاتف Doogee Fire 7 Pro قادم ببطارية 13000 مللي أمبير ومصابيح تخييم
-

الأهلي المصري يوقّع اتفاق تمويل مع «إيه دي آي فاينانس» لدعم التمويل الإسلامي
-

تمور السعودية تتصدر العالم.. 15 صنفًا ضمن قائمة “TasteAtlas” للأفضل
-

الفرسان السعوديين: استضافة بطولة لونجين العالمية إضافة لنا ومفخرة لهذه الرياضة
-

Lava تؤكد رسميًا: هاتف Agni 4 يأتي بكاميرتين فقط وبدون شاشة خلفية
-

بينها 1310 مادة محظورة.. 1629 حالة ضبط للممنوعات بالمنافذ الجمركية
-

لبنان.. مركز الملك سلمان يوزع 660 سلة غذائية في عرسال
-

دول مجلس التعاون تجدد تأكيدها دعم الأمن والاستقرار في اليمن
-

دراسة تحذر: نقص الأوكسجين يضعف المناعة ويزيد العدوى !
-

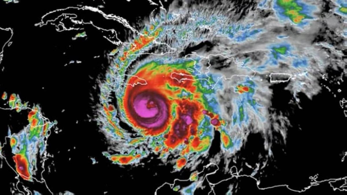
«ميليسا» يخلف دماراً هائلاً في الكاريبي.. ويضرب 5 دول
-

بشعار «حيّاك بزود».. «السياحة» تدشن منصة شتاء السعودية
-

“الداخلية” تطلق ختمًا خاصًّا بدورة ألعاب التضامن الإسلامي
-

عاجل: 20 ألف ريال غرامة.. “هيئة النقل” تضبط 653 مخالفًا خلال 7 أيام
-

تعليق حركة الطيران فوق مطار برلين بعد رصد مُسيرات
-

الصين تطلق السفينة المأهولة «شنتشو-21» إلى الفضاء
-

التمر الطازج أم المجفف.. أيهما الأفضل لصحتك؟
-

بقرار من وزير الإعلام.. الزيد رئيسًا تنفيذيًا للإذاعة والتلفزيون
-

عاجل: إعلان نتائج المرشحين للقبول بدورة بكالوريوس العلوم الأمنية.. الرابط
-

6 شركات سعودية تتأهل لنهائيات كأس العالم لريادة الأعمال في ملتقى بيبان 2025
-

مبيعات مزاد نادي الصقور السعودي تتخطى 4.5 ملايين ريال
-

ختام الجولة الثانية من بطولة «Kings League MENA»
-

«شخصية مهمة».. كيف احتال نصاب على آسيوي في 3.6 مليون درهم ؟
-

سورية: معلم يعتدي على طفل بتهمة سرقة 4 آلاف ليرة في مدرسة
-

وثائق مسربة تكشف تعاون فنزويلا مع الصين وروسيا ضد الولايات المتحدة؟ – واشنطن بوست
-

الأحد.. حديقة السويدي تنطلق بأسبوع الهند
-

هل تستيقظ بين الـ2 والـ3 فجراً؟.. راجع الطبيب فوراً
-

قطعة أثرية عمرها 700 ألف عام تُعرض داخل المتحف المصري الكبير
-

وارن بافيت يراكم 381 مليار دولار دون إعادة شراء الأسهم.. أرباح بيركشاير تقفز بقوة
